レンタカーを明日まで24時間レンタル。明日の石垣空港への移動も兼ねて、空港バスの経費も削減。
さすがに3日間連続で泳ぎ続けてきたので、充実感とは裏腹に身体が休養したがっているので、午前中は石垣島をドライブすることにした。


おおよそ1時間でいっきに石垣島最北端の平久保崎までやってきた。綺麗だなあというより、あのあたり泳いだらどうだろうなぁというスノーケル目線になっている。実際にはあれだけのリーフ切れ目だと、流れは早そうなので絶対にやめた方が良さそうな地形だと思う。

玉取崎展望台まで南下。あぁ綺麗だなあと、さほど感動することもなく、あらためて観光だけでは楽しめないことを実感。そりゃ短い期間で何度も訪れてたらそうなるか。

ランチタイムオープンにあわせて、朝食兼用の昼食。なんだかんだ毎回訪れている元焼肉金城、現在きたうち牧場。昨晩に今日の夜に行こうと電話したら、満席だったので、だったら昼に行こうと。お酒は飲めないのはつらいけど、仕方ない。

特上焼肉定食3,000円。特上肉150g、野菜、サラダ、キムチ、ライス、味噌汁
今回は一度も居酒屋に行ってないので、食費はおさえ気味なので、ここは奮発しました。ここは訪れる度に内容が良くなっている。ほぼステーキみたいな肉も入っていてとても満足です。
当然ごはん一杯で終わるわけなく、おかわりしました。午後は潜る予定だけど、胃から逆流しないか心配です。

以前行った米原海岸のリーフで泳ぎたいと思ったのですが、実際見に行ってみると北風が強く入ってきて、リーフエッジで波が割れてたので行くのはやめました。
半島があり北風の影になって穏やかな場所をネットで探してここを訪れました。これは正解のようで、波はとても穏やかでSUPをしている団体さんもいます。その奥にはダイビングボートが停泊してるから、北風から逃れてきたのでしょうか。ということは、あのあたりまでいけば海の中はきれいなはずですね。

最初は水草の生えた砂場だけど…

徐々に深みも出てきて、珊瑚の根もちらほらでてきます。

水深5~7m前後のちょうど良い深さになってきたました。泳ぎ始めましょう。


珊瑚がすごい元気というわけではないけど、ビーチエントリーでたどり着けるポイントにしてはなかなか良いですね。しかもここは外洋の影響をまったくうけず、海の中もとても穏やかです。

適度に魚もいます。外洋の影響を受けてないということは、海水温も高めなので身体が冷えてこないのもいいですね。陸からは離れてるので、戻るのはとても面倒ですから。

ブラッククマノミ?線が2本なのでノーマルクマノミのはずですが、ここまで黒いのは見たことがありません。
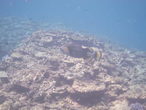
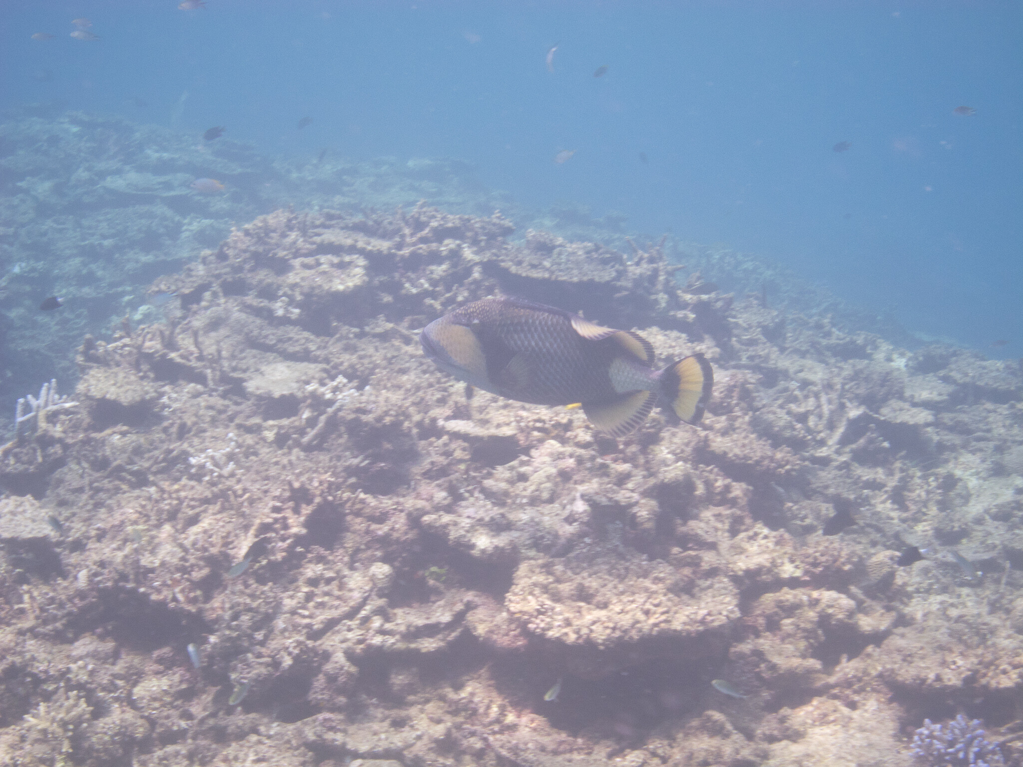
ゴマモンガラ。繁殖期になると卵を守るようになるので、巣に近づくとマジで攻撃されて噛まれます。砂場に蟻地獄みたいな円錐形があって、まわりでウロウロしてたら要注意。比較的大型の魚だし、いかつい顔してるから、ただでさえ近づきたくない存在。

2時間ほど泳ぎ続けてました。まあ海の上に浮いていれば、休憩しているようなもんですしね。

行きには気づかなかったけど、浅い藻場にはたくさんイソギンチャクとクマノミを見つけることができました。

浅くて身体はすぐに浮いてくるし、かといって掴むものがないので、なかなか撮るのは難しい。
宿に戻ったら、出掛けるのが面倒になりそうだったので、さきに夕食を済ませることにした。パチンコ屋併設のキミ食堂2号店。パチンコ屋に車を止められるので行きやすいし、定食屋っぽい感じなので、お酒飲まない時には利用しやすいお店です。ちなみに本店にはいったことないです。

味噌そば500円
フーチバーの香りがいいですね。味噌ラーメンのスープというよりは、赤だしで沖縄そばを食べているような感じです。
最終日


散歩がてら、離島ターミナルを訪れると、西表島上原行きと鳩間行きは欠航になってました。

新しい石垣空港。

朝ごはん兼用の昼ご飯。
SKY162便
石垣10:45→神戸13:05

空港は新しいけど、搭乗方法はバス移動でした。帰りもスカイマークです。
フリー14 12,800円早い時間帯だけあって、比較的安いです。

南西向きに離陸後、左旋回して石垣島を北東に進んでいきます。

明石食堂のあたりです。

宮古島の西に位置する下地島と伊良部島。訓練用だった下地空港はもう使われなくなっています。フライトシュミレーター進化と経費削減だとか…。

宮古島の北側にある池間島。その先にある八重干瀬は珊瑚礁で、春秋の大潮の干潮になると歩けるほど珊瑚礁が顔を出すらしいです。

種子島北部と鹿児島大隅半島。種子島って意外と九州と近いですよね。

高知市東部付近から四国上空に入ります。
姫路市の市川から泥水が瀬戸内海に流れ出しています。これは台風の影響でしょう。近畿地方でも大雨だったそうです。
実は石垣島に行っている間に台風18号が小笠原諸島付近で発生し、960hPaまで強くなり、9月16日に愛知県から上陸。死者行方不明者7名をだし、大きな大雨被害をもたらしていました。コース的に八重山諸島への影響はなかったのですが、台風の速度が遅かったり、少し西にずれていたら、帰ることができなかったかもしれません。

明石海峡大橋上空。

須磨海岸。大阪湾に入ると全体的に海が茶色がかっていました。
神戸空港に到着。
八重山諸島の海は素晴らしいし、やはり西表島西部のポイントは抜群でした。今回の旅では連日ツアーに参加して泳ぎまくりましたが、しかし海にもかなり慣れたし、海のコンディションも良かったこともあって、それほど疲れてはいません。
9月は台風の心配もありますが(今回も危なかった)、沖縄の日差しも気温も落ち着いてきてるので、とても泳ぎやすい時期ではありました。
まあ今回は居酒屋に一度も行かなかったので、しっかり体力が回復できていたことが良かったかも…
来年も何回沖縄に行くことになるでしょうか。




